Science
A Japanese flower lures in its pollinators with a morbid perfume — the scent of injured ants. The unusual scent…
Some planets might produce their own water instead of relying on outside sources. In laboratory experiments, researchers simulated extreme conditions…
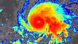
With winds whirling at about 290 kilometers per hour, Hurricane Melissa is one of the strongest ever recorded in the…
Two small genetic changes reshaped the human pelvis, setting our early ancestors on the path to upright walking, scientists say.…
A new AI model is opening the black box of the leading artificial intelligence tool for predicting how proteins will…
In a single year, one polar bear can leave roughly 300 kilograms of prey for other animals to dine on.…
A fossil unearthed on Eastern Europe’s Crimean Peninsula has divulged the strongest genetic clues yet about Neandertals’ long-distance journeys into…
Australia’s tropical forests are the world’s first to flip a worrisome switch. The forests are now putting more carbon into…
In a first, a scientific conference welcomed paper submissions from any area of science, but with one catch: AI had…
Some vipers are the sprinters of snakes. Vipers wielded the fastest attacks in a comparison of 36 venomous snakes from…













